杨梅种植技术
-
杨梅味道很好,种植人数不少,当季高产丰收,祈祷来年更好。收获后的果园管理占据很重要的因素,只有这时候为杨梅树打好基础,来年才能高产。那么我们可以从哪些方面下手呢?下面一起了解下!1、追肥杨梅树的产量还是极高的,结果后还是会耗费比较大的养分,加上又要积蓄能量生长,为下一季节的果实做准备,所以收获后的追肥是及其重要的。杨梅树比较独特的地方在于其生长速度最快的时间段是收获后的一段时间,这时种植户要抱着投资的心态去施肥,量大一点,让其除了能补充前面损失的能量,还能有更多的能量去生长。2、修冠这是很多果树的必经过程...阅读详情
-
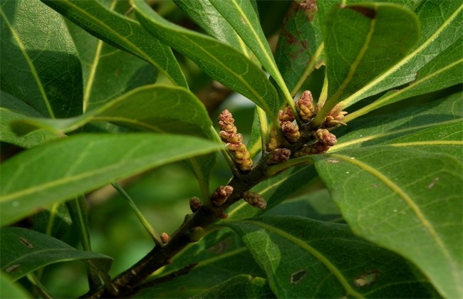
杨梅在种植时一般要通过修剪来完善株型,使其多分枝,扩大树冠,增加其开花结果数量,提高产量和品质。但是也不能盲目修剪,否则会起反作用,那么什么时候修剪?该怎么修剪?一起来了解了解。1、修剪时间一般修剪时间是夏季6-7月时,这时锯大枝、扰乱树形的强枝;而春季修剪时间为3-4月,这时修剪小枝,主要修剪掉一些密枝、枯枝、短截结果过多的枝等;而秋季修剪时间为11月,这时主要修剪一些过强的营养枝和秋梢。2、修剪方法杨梅树的修剪方法主要包括为抹芽、摘心、短截、疏剪、回缩、拉枝和撑枝、环剥等,它们概括了杨梅所有的修剪工作...阅读详情
-
杨梅是大家喜爱的一种水果,但是不少种植杨梅的人却发现,有时候杨梅开了一熟的花但是到花谢后,却很少结果,有的甚至不结果。那么影响的原因其实很多,要想让杨梅结果,就必须要寻找不开花的具体原因针对原因找到合适的解决方法。等下我就会给大家简单介绍一下这些的内容。一、原因1.光照不良杨梅是喜阳性果树,一般开花结果期都在夏季进行,需要足够的光照,才能很好的进行子房发育,果实发育。在前期树干生长,需要大量的光照促进生长,光合作用,储藏树体营养为开花结果做准备。2.施肥过量杨梅本身主要是吸收土壤自然营养和依靠光合作用营养...阅读详情










