玉米叶夜蛾的防治
时间:2022-12-20 14:37:52
来源:网络
浏览:395次
病虫害图片



特征描述及防治方法
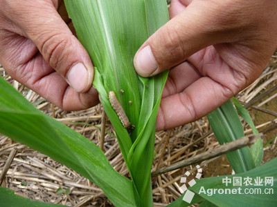
【症状】初孵幼虫先取食卵壳,后陆续从绒毛中爬出,1~2龄常群集在叶背面为害,吐丝、结网,在叶内取食叶肉,残留表皮而形成“烂窗纸状”破叶。3龄以后的幼虫分散为害,严重发生时可将叶肉吃光,仅残留叶脉,甚至可将嫩叶吃光。
【病因】叶夜蛾对玉米植株的危害。
【防治方法】应掌握在其抗药性较弱的孵化盛期或幼虫3龄之前施药。如果已经虫龄较大、抗药性增强,需要选用新型成分农药、适当加大用药量和多元复配而喷药防治。经各地对比试验,选用红与兰TM10毫升+农喜3号20毫升,或红与兰TM 1+1组合的红瓶、蓝瓶各用10毫升,或农喜1号、2号、3号各用18毫升,一般10分钟左右可杀灭5龄以上的大虫。为避免和延缓抗药性的产生,应注意交替使用。另外,还有一点提醒大家注意:辛硫磷、敌敌畏两种农药及其复配制剂容易对玉米造成药害,应避免使用。
